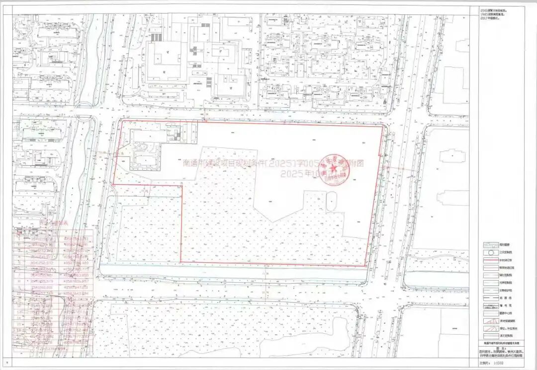
就在刚刚,南通市自然资源和规划局官网发布《胜利路东、科第路南、崇州大道西、科甲路北侧地块规划条件批后公布》,创新区再添一宗低密宅地!
主要内容:用地性质为居住用地,用地面积约53394平方米,计容建筑面积≤88000平方米,1.01<容积率<1.65,建筑密度≤35%,绿地率≥30%,建筑高度≤60米。

根据规划要求,住宅建筑层次为多层、小高层和高层,同时须配套建设物业管理用房、生活垃圾收集站、邮政服务用房等公建配套。
地块属于创新区北区,周边教育、医疗、商业等配套齐备。一路之隔就是紫琅生活汇,还有紫琅一小、南通市第一人民医院、紫琅花谷、全民运动中心等配套也都在附近,生活便利度较高。南通市阳光颐养护理院项目,毗邻南通市第一人民医院,用地面积约24714平方米,地上计容面积约34600平方米,地下建筑面积约4511平方米(工程规模以规划方案审查意见核定为准)。
根据规划方案,项目整体采用“康养&乐居双核驱动”理念,以“生命之树”会所为枢纽,辐射康养社区、康复护理、乐居生活三大功能片区。首次将“代际融合”理念融入社区设计,致力打造住宅、公寓、护理院为一体的老年康养示范社区,搭建老年健康管理与养老服务体系。
还有正在建设中的泰康之家·通园,作为江苏第四家高品质养老社区,项目一期配建总户数430户,其中独立生活楼223户,协护楼207户,预计2027年四季度开业。其中泰康之家开放大学活动多元丰富,设有乐泰学院和乐泰俱乐部,涵盖艺术、运动、娱乐、养身、乐智游戏等领域。社区内还设有适老化设计的康复护理区域,配备1+N多学科专业团队,为居民提供健康筛查、健康挡案跟踪测源,用药指导、报告解读、就医绿通等全人、全程服务。上瑞嘉苑、元瑞雅苑、公园道、盛和世悦、仁恒紫琅世纪、天皓名邸等多个项目密集遍布于地块周边。上瑞嘉苑,创新区二号线地铁口低密洋房社区。19# 建面约127㎡准现房,热势加推,火爆热销中。
现场图元瑞雅苑,崇川路上,紫琅花谷旁,尊享地铁连地库专属归家通道、社区商业的高改项目。目前全区实景已兑现,约130-230m²国企精工准现房在售中。中创区封面红盘,两次集中交付累计迎来800+组业主托付,如今社区内超60%的装修率、约300户业主已实际入住,目前建面约188㎡藏馆级生活样板实景已公开。世悦由盛和&致豪双国企匠造,占位创新区紫琅公园头排,打造健康WELL金级认证住区以及南通首个静音住宅,户型建面约158-295㎡,大手笔打造超2000㎡动静双会所,从设计美学、高定材质、空间场景等多个方面,赋新高阶生活范本。作为仁恒世纪系2.0迭代升级产品,仁恒·紫琅世纪延续仁恒一贯的高标准,小区设计超大镜面水景,国际审美感的立面,儿童主题的泛会所架空层......品质细节用心且到位。项目实景园林与建面约185㎡精装样板间,已盛大开放!
天皓名邸位于创新区正轴崇州大道,目前一期已交付,公区实景品质呈现,所见即所得。